Vertere Inventory Manager Description

Vertére Inventory Manager: Smart Inventory for Scientific & Industrial Labs

Vertére Inventory Manager is a robust, configurable platform for managing chemicals, lab supplies, equipment, and assets. Built for labs, research institutions, universities, and industrial environments, Vertére centralizes inventory data, improves safety, and streamlines compliance through intuitive, barcode-based workflows.

With 30+ years of experience, Vertére supports complex lab operations with purpose-built modules:

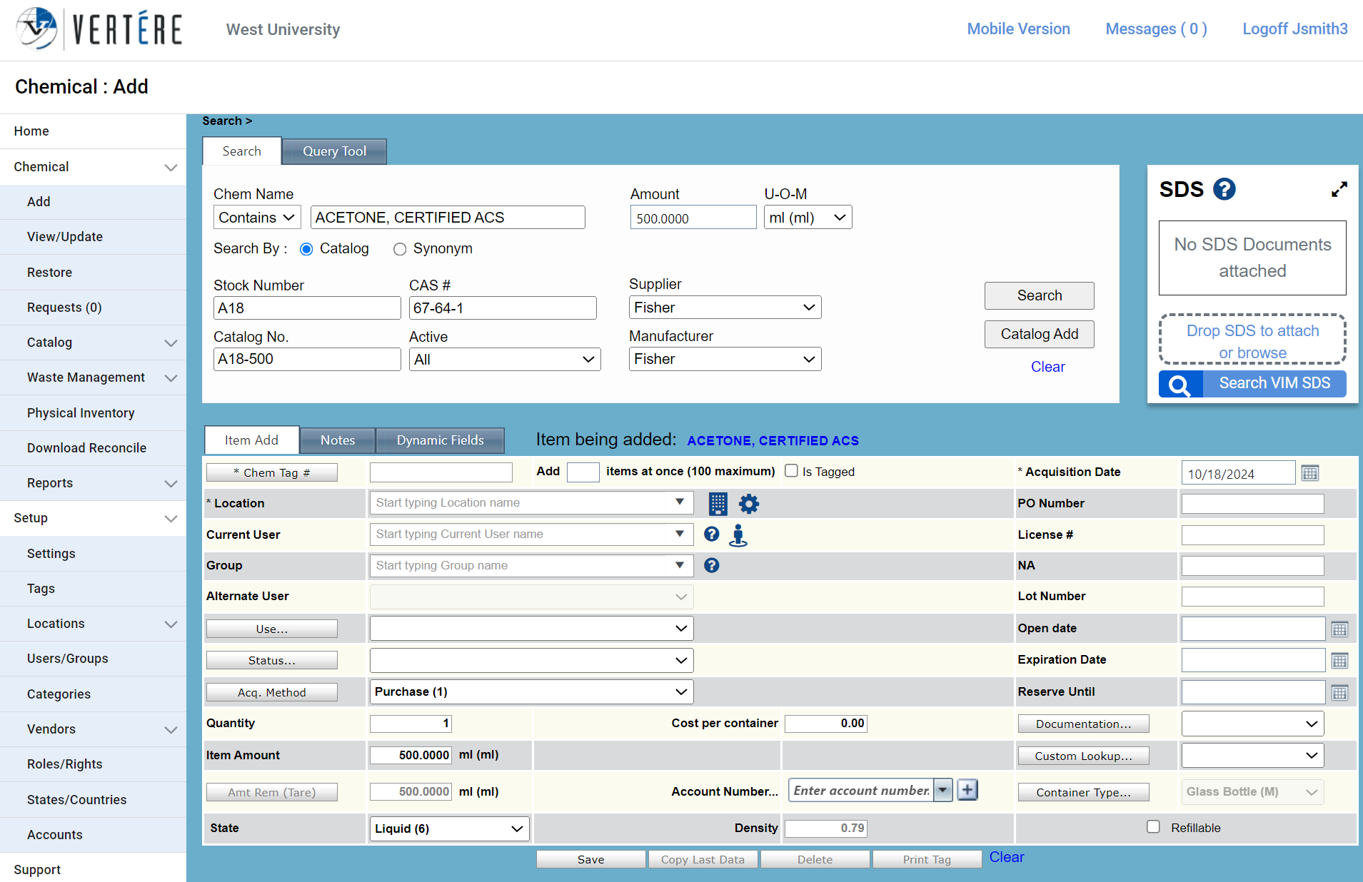
Chemical Inventory (ChIM): Barcode-level tracking, hazard classification, expiration alerts, and compliance reporting.
Lab Supply Management: Manage consumables, reorder thresholds, stockroom workflows, and purchasing history.
Equipment & Asset Tracking: Assign and track lab instruments with maintenance logs and calibration records.
Chemical Waste Management: Track waste containers, accumulation dates, and generate EPA/DOT-compliant reports.
SDS Management: Access a comprehensive, up-to-date SDS library directly within the platform.
User Permissions & Access: Control visibility with role-based access, department segmentation, SSO, and 2FA.

Key Benefits:
✔ Real-time visibility and control
✔ Centralized chemical safety and SDS access
✔ Scalable for single labs or multi-site institutions
✔ Flexible cloud or on-premise deployment

Trusted by universities, government agencies, and Fortune 500 R&D teams. Vertére Inventory Manager: Inventory Made Simple

Pricing

Pricing Starts At:
$290/month
Pricing Information:
Licensed by Site, Module, and Concurrent users
Free Trial:
Yes

Integrations

API:
Yes, Vertere Inventory Manager has an API

Reviews

Total
ease
features
design
support

No User Reviews. Be the first to provide a review:

Write a Review

Company Details

Company:
Vertére
Year Founded:
1990
Headquarters:
United States
Website:
www.vertere.com
Update This Listing

Media

VIM SSO Login screen

VIM SSO Login screen

Recommended Products
Forever Free Full-Stack Observability | Grafana Cloud Icon
Forever Free Full-Stack Observability | Grafana Cloud

Our generous forever free tier includes the full platform, including the AI Assistant, for 3 users with 10k metrics, 50GB logs, and 50GB traces.

Built on open standards like Prometheus and OpenTelemetry, Grafana Cloud includes Kubernetes Monitoring, Application Observability, Incident Response, plus the AI-powered Grafana Assistant. Get started with our generous free tier today.
Create free account

Product Details

Platforms
Web-Based
Windows
iPhone App
iPad App
Android App
Chromebook
On-Premises
Types of Training
Training Docs
Live Training (Online)
Webinars
In Person
Customer Support
Business Hours
Online Support

Vertere Inventory Manager Features and Options

Inventory Management Software

Alerts/Notifications
Barcoding / RFID
Forecasting
Inventory Optimization
Kitting
Manufacturing Inventory Management
Mobile Access
Multi-Channel Management
Product Identification
Reorder Management
Reporting/Analytics
Retail Inventory Management
Supplier Management
Warehouse Management

Compliance Software

Archiving & Retention
Artificial Intelligence (AI)
Audit Management
Compliance Tracking
Controls Testing
Environmental Compliance
FDA Compliance
HIPAA Compliance
ISO Compliance
Incident Management
OSHA Compliance
Risk Management
Sarbanes-Oxley Compliance
Surveys & Feedback
Version Control
Workflow / Process Automation

Asset Tracking Software

Activity Tracking
Audit Trails
Barcoding / RFID
Checkout / Check-In
Depreciation Tracking
Disposal Tracking
Inventory Management
Location Tracking
QR Codes
Reservations
Service History

EHS Management Software

Audit Management
Corrective / Preventive Actions
Environmental Management
Environmental Risk Assessment
Forms Management
Incident Management
Industrial Safety Management
Injury Reporting
Inspection Management
MSDS
OSHA Recordkeeping
Occupational Health Management
Safety Risk Assessment
Training Management
Waste Management

Lab Inventory Management Software

Barcode Scanning
Expiration Date Management
Purchasing
Reorder Management
Sample Management
Supply Management
Usage Tracking
Vendor Management

Audit Software

Alerts / Notifications
Audit Planning
Compliance Management
Dashboard
Exceptions Management
Forms Management
Issue Management
Mobile Access
Multi-Year Planning
Risk Assessment
Workflow Management

Equipment Maintenance Software

Customer Database
Dispatch Management
Equipment Tracking
Inventory Control
Job Management
Maintenance Scheduling
Warranty Tracking
Work Order Management

Maintenance Management Software

Asset Tracking
Billing & Invoicing
Calibration Management
Dispatch Management
Inventory Control
Inventory Management
Key & Lock Management
Mobile Access
Planning Calendar
Predictive Maintenance
Preventive Maintenance
Purchasing
Scheduling
Service History Tracking
Technician Management
Work Order Management

Chemical Software

Certificates of Analysis
Chemical Process Simulation
Computer-Assisted Structure Elucidation (CASE)
ISO Management
Inventory Management
Particle Tracking
Reporting & Statistics
Samples Tracking
Traceability
Uncertainty Analysis

Waste Management Software

Billing & Invoicing
Customer Accounts
Customer Database
Equipment Tracking
Inventory Management
Routing
Scheduling
Waste Disposal
Work Order Management

Vertere Inventory Manager User Reviews

Write a Review
  • Previous
  • Next